PennHIP法について
PennHIP法は、股関節形成不全を早期診断するための新しい技術としてペンシルベニア大学のDr.Smithによって確立された検査法です。従来の検査法ではすでに関節炎の所見や明白な股関節の緩みがある場合のみ評価が可能であったのに対し、PennHIP法では圧迫・伸延ストレスをかけて撮影することにより、従来の股関節のレントゲン撮影方法であるOFA法と比較し、股関節の緩みをより早期に客観的に正確に測定することができます。
PennHIP法は、PennHIP認定獣医師による特殊な器具を用いた正確な撮影が必要です。当院ではPennHIP認定獣医師のもとで撮影可能であり、撮影したX線画像はPennHIPに評価を依頼します。
PennHIP法の撮影方法
撮影を行う際は、筋肉の緊急をなくして正確な 股関節の緩みの測定を行うために、鎮静もしくは全身麻酔をかける必要があります。撮影するX線画像は、以下の3種類です。
- 股関節伸展像(OFA法)
- 従来の検査法と同様、後肢を伸展させる方法で、既存の変性性関節疾患の評価を行います。
- 圧迫ストレス撮影像
- 股関節に外側から圧迫をかける方法で、寛骨臼内にはまっている大腿骨頭の範囲を調べます。
- 伸延ストレス撮影像
- ディストラクターという特殊な器具を用いて股関節を外側に伸延することにより、股関節を最大限緩んだ状態で撮影する方法で、股関節の緩みの程度を評価します。緩みの程度の評価は、寛骨臼と大腿骨頭との距離を用いてディストラクションインデックス(DI、伸延指数)を算出することによって行います。 この値が大きいほど、股関節の緩みが大きいことを意味します。
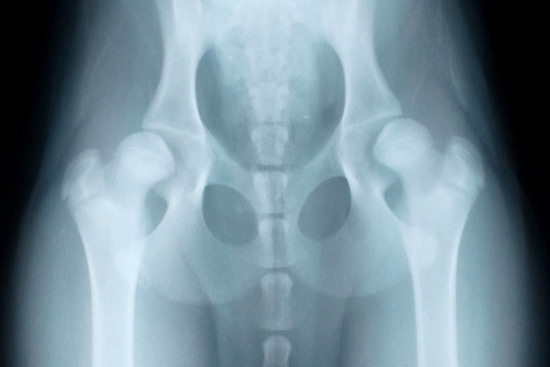
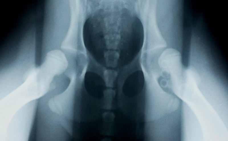
右は股関節伸展像(OFA法)、左は伸延ストレス撮影像で、両者は同じ患者のレントゲン写真です。股関節伸展像(OFA法)では大きな異常は認められませんが、伸延ストレス撮影像では寛骨臼と大腿骨頭の距離が広く、股関節の緩みが認められます。
股関節の緩みは、将来的に変性性関節疾患を発症しやすい動物を予測する主要な要因であることが証明されています。PennHIP法は股関節の緩みから将来的な変性性関節疾患の発症を高い精度をもって予測できる唯一の方法であり、さらに、16週齢という若齢期から評価が可能です。また、股関節 の緩みがない、つまり変性性関節疾患を発症するリスクの低い動物を特定することができます。






























