股関節疾患
症状
・後肢がふらつく
・お座りの時に後肢を投げ出している
・最近、散歩を嫌がるようになった
・背弯姿勢をとる
・ウサギ跳び様の歩行
・車に飛び乗らない、飛び降りない
これらの症状は、股関節の緩みに関連した若齢期、あるいは骨関節炎により関節構造が変化する中齢期以降に認められます。
しかしながら、これらの症状は他の整形外科学的疾患(例:前十字靭帯断裂、膝蓋骨脱臼)や神経学的疾患(例:脊髄疾患、馬尾症候群)および骨や筋肉の腫瘍性疾患などにおいても同様に認められる場合があり、鑑別する必要があります。
飼い主様からの情報の聴取、歩様状態、整形外科学的検査の評価が必要となります。患肢を特定した後、起立位と横臥位にて筋肉・骨格を中心に触診を実施し、疼痛の有無や関節の可動域を評価します。
次に股関節の放射線学的検査を行います。
OFA法
Orthopedic Foundation for Animals (OFA) が推奨するX線撮影法にて股関節の緩み、整合性、骨関節炎病変の程度を評価します。
※12ヵ月齢以上の動物においてはJAHD Networkへの股関節提出用のレントゲン撮影も可能です。
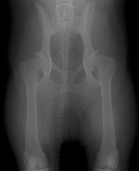
PennHIP法(ストレスX線撮影法)
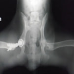
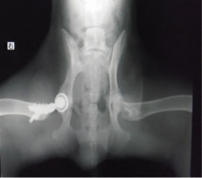
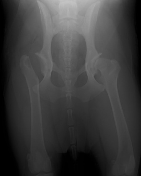
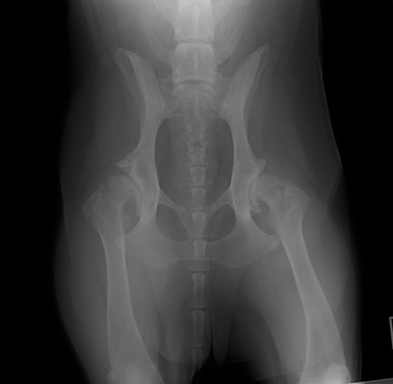
股関節の緩みを客観的に評価することが可能です。University of Pennsylvania Improvement Program (PennHIP) に評価を依頼する方法です。この機関に依頼する場合、Penn HIP により認定されている獣医師により撮影された特別な撮影像が必要となります。当院では、PennHIP 認定獣医師の資格がありますので撮影が可能です。4ヵ月齢から評価可能ですので、股関節形成不全の発症の有無を知りたい場合にも利用可能です。(PennHIP法の詳しい説明はコチラ)
PennHIP法を実施した症例のレントゲン写真
CT検査
寛骨臼や大腿骨の三次元的評価を実施します。
内科的治療法
・消炎鎮痛剤:非ステロイド系消炎鎮痛剤
・関節軟骨保護剤:ヒアルロン酸ナトリウム、グリコサミノグリカン
・体重制限
・運動制限
内科的治療法は疼痛の軽減を目的としています。多くの動物では痛みが緩和し、QOLは改善します。しかしながら股関節の緩みや不整合性といった根本的な問題は改善されないため、股関節形成不全は進行を続けます。
外科的治療法は、股関節の疼痛の除去、運動機能の改善、骨関節炎の進行の防止を目的として実施します。
障害された股関節を人工器具に置換する股関節全置換術 (Total hip replacement: THR) または障害された関節を切除する大腿骨頭・骨頚切除術 (Femoral head and neck osteotomy: FHNO)があります。
股関節全置換術 (Total hip replacement: THR)
■THR の利点
股関節全置換術(THR)は、犬の股関節形成不全の治療法の一つであり、異常な関節構造を人工関節にて再建する手術です。 THR の利点として、大腿骨頭・骨頚切除術(FHO)とは異なり、人工関節にて関節構造の再建をはかるため、術後早期の患肢の使用が可能となります。また、正常股関節と同様に三次元方向の関節可動域を維持することが出来る為、関節の不安定性あるいは骨関節炎に伴う疼痛から解放することができます。
THR Bone Model
■THRの適応症例の評価
THR適応症例に対して、下記の項目の評価を行ったうえで、手術手技を決定しております。
1)適応年齢は骨格形成終了後である約9ヵ月齢以降。
2)整形外科学的検査(オルトラニー試験等)にて、股関節の弛緩を評価。
3)Penn HIPの評価。
4)手術前関節鏡検査による股関節内評価。
5)レントゲン検査による、腿骨頭および骨頸部の形態的評価。またCT検査により、
股関節および大腿骨の三次元的な評価(前捻角、頚体角の評価)を行う。
6)全身に感染症、腫瘍性病変、股関節以外の関節の病変(特に前十字靱帯損傷)、
後肢の神経障害(特に馬尾症候群)が存在しないか、評価を行う。
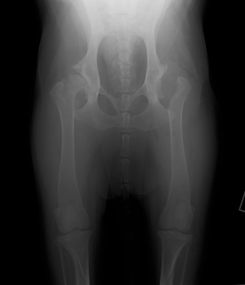
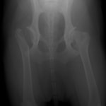
重度股関節形成不全の症例
■THRの手術内容
当院では、スクリューを使用し人工関節を固定する Kyon社 Zurich セメントレスTHRシステムが実施可能です。術前に評価した患者の骨格に合わせて、専用のテンプレートで人工関節のサイズを決定します。人工関節として寛骨臼にカップを設置し、大腿骨にステムを挿入し、大腿骨-寛骨臼間の距離に合わせてヘッドを設置します。
THR手術器具
THR手術風景
THR手術風景
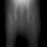
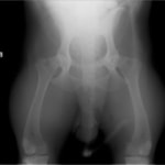
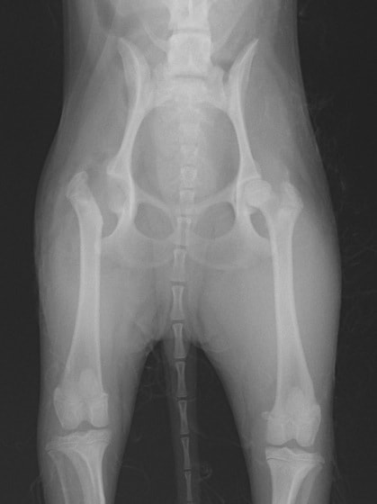
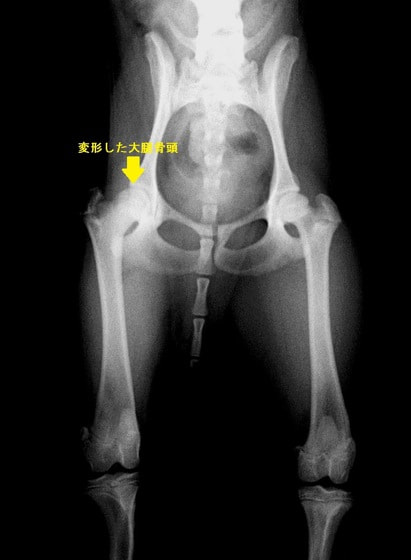
THR法を実施した症例のレントゲン写真
大腿骨頭・骨頚切除術 (Femoral head and neck osteotomy: FHNO)
症例2 ゴールデン・レトリバー 7歳 雌 (石神井病院症例)
ボール遊びの後の後肢の跛行を主訴に来院されました。院内ではモンローウォーク(腰を振って歩く歩様)が認められました。レントゲン検査において、左右股関節の形成不全および比較的重度の関節炎所見を認めました。左右ともに長期に及ぶ骨関節炎の進行により、寛骨臼に重度の骨変形・骨硬化が認められました。このような症例においては、THRのカップの定着が悪くTHRの手術の成功率が下がるため、機能回復の面では劣りますが、症状がより重く、筋肉の萎縮の認められた右後肢の大腿骨頭・骨頚切除術を実施しました。関節面に関節軟骨の欠損、骨増殖体を認めました。今後は、リハビリテーションを行い、患肢の機能回復に努め、反対側の大腿骨頭・骨頚切除術を検討していく予定です。
股関節形成不全は成長期に発症する進行性の関節疾患です。中齢期以前のTHRの実施が機能回復において最も優れています。好発犬種の大型犬は成長期からの定期的な股関節のレントゲン検査をお勧めいたします。(詳しくは上記の診断を参照してください。)
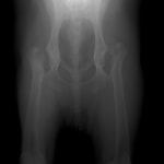
術前レントゲン
術後レントゲン
術後レントゲン
症例1 ゴールデン・レトリバー 7歳 避妊雌
後肢の跛行を主訴に来院されました。レントゲン検査にて、左右股関節の形成不全および重度の関節炎所見を認めました。THRに関しては適応年齢(約9カ月齢以降)の範囲にありますが、左右とも長期に及ぶ骨関節炎の進行により、大腿骨頭・寛骨臼ともに重度の骨変形を伴っていました。このような症例において、THRのカップの定着が悪くTHRの手術の成功率が下がるため、機能回復の面では劣りますが、症状がより重いと判断された左後肢の大腿骨頭・骨頚切除術を実施しました。今後は、リハビリテーションを行い、患肢の機能回復に努めると共に、反対側の大腿骨頭・骨頚切除術を検討していく予定です。
股関節形成不全は成長期に発症する進行性の関節疾患です。若齢期でのTHRの選択が機能回復において最も優れています。好発犬種のワンちゃんは成長期からの定期的な股関節のレントゲン検査をお勧めいたします。(詳しくは上記の診断を参照してください。)
術前レントゲン
術後レントゲン
レッグペルテス病/無菌性大腿骨頭壊死症はトイ種やテリア種などの小型犬に好発し、5~8ヶ月齢の若齢期に多く発症します。大腿骨の先端(大腿骨頭)が、血液供給の障害により成長が阻害され、大腿骨頭の変形や壊死を起こす病気です。罹患動物は股関節の強い痛みのため、日常生活においては進行性の跛行(ケンケンをして歩く、足を地面に着かない等)の症状が認められます。肢を使わなくなるため筋肉量は減少し後肢は細くなります。
診断方法は主に触診と画像検査により行われます。触診では足を後方に伸ばし、疼痛の有無を調べます。レントゲン検査では、大腿骨頭や骨頸の骨密度の低下、大腿骨頭の辺縁部の変形、大腿骨頭や骨頸の亜脱臼等が認められることがあります。しかし発症初期では、レントゲン所見には異常が認められず、繰り返しのレントゲン撮影、CT検査を行う場合があります。
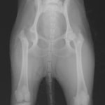
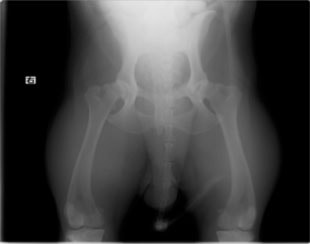
レッグぺルテス罹患症例の股関節のレントゲン写真
治療方法は、主に外科手術による大腿骨頭頭骨頸切除術を適用します。大腿骨頭頭骨頸切除術は、疼痛部位完全に取り除くため、内科治療による消炎鎮痛剤と安静よる管理よりも予後が良いとされています。



































