その他の整形外科疾患
若齢動物において、橈骨と尺骨は互いに同調した成長をしています。一方の骨の成長に障害が生じると、他方の骨に変形や彎曲、関節形態の異常が引き起こされます。これらの変形が動物自身の補正可能範囲を超えてしまうと、深刻な機能異常を呈し、歩様は著しく変化します。
原因
外傷による成長板の損傷、尺骨軟骨芯遺残、遺伝性成長板早期閉鎖などが挙げられます。
検査所見
レントゲン所見として、橈骨の前屈、短縮、外反変形、指端の外旋、肘関節の亜脱臼が程度により認められます。
治療方法
横断骨切り術、開放性楔形骨切り術、閉鎖性楔形骨切り術、斜め骨切り術などが報告されています。
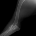
■ミニチュアダックスフント 1歳 去勢オス
前肢の成長板早期閉鎖、前肢の重度の外反変形が認められました。


関節面の変形が重度に認められます。
症例1:グレート・ピレニーズ、11歳齢、避妊メス
慢性的な右前肢跛行、右肩関節伸展時の顕著な疼痛身体検査において、棘上筋、棘下筋および上腕筋群の顕著な萎縮を認めた。
初回レントゲン:明らかな骨病変は認められない
治療
非ステロイド系消炎鎮痛剤を中心とした内科療法を実施した。治療初期は、反応が良かったが、次第に疼痛管理が困難になってきた。
CT検査
上腕骨近位内側領域を中心に不正な骨増生疑う所見
関節鏡
肩関節周囲の腫瘍病変の鑑別のため、関節鏡検査を実施した。上腕二頭筋腱を中心とした炎症像および滑膜炎が認められた。関節鏡下にて、上腕二頭筋腱の切断および炎症滑膜の焼烙処置を実施した。
<関節鏡写真:右肩関節内滑膜炎像>※写真は山口先生のご厚意による
疼痛コントロールを目的として、救済的手術である肩関節の固定法を提案
免疫介在性多発性関節炎とは、関節における自己免疫疾患です。正確な発生機序はほとんど解明されていませんが、本来、細菌や異物から自身を守る免疫反応が異常を起こし、自身の関節滑膜に複合体沈着を起こし関節変性・関節破壊を引き起こします。
臨床症状
発熱、元気食欲の低下、関節痛、関節の腫脹 、四肢の歩行異常が移り変わる、徐々に進行する歩行異常など
診断
関節液検査により診断することができます。罹患動物の関節液は、正常な関節液と比較して、粘稠度の低下や顕微鏡下にて非変性性好中球の増加が認められます。
治療・予後
免疫抑制療法が第一選択となります。予後は比較的良好です。
症例2:パピヨン 11歳 去勢雄
移動性跛行、食欲・活動性の低下を主訴に来院。発熱、手根関節の腫脹および関節痛が認められた。血液検査を行ったところ白血球数の上昇が認められた。関節液検査にて細菌や貪食像は認められず、非変性性好中球が多数採取された。免疫介在性関節炎を疑い、免疫抑制剤の投与を開始した。プレドニゾロンを1日1回1.8mg/kgでスタートするが、改善は認められず、プレドニゾロンを1日2回1.8mg/kgと増量したところ一般状態は改善し、跛行や発熱は認められなかった。今後、定期的な血液検査と体温測定を行い、他の免疫抑制剤の併用することでステロイドの減量を図ると同時に、副作用の有無を確認していくこととしている。

症例1:アメリカンコッカースパニエル 12歳 避妊雌
四肢を挙上させるとのことで来院。痛がる脚は日によって異なるとのことだった。来院時は、一般状態は良好であり、四肢の疼痛や挙上は認められなかった。触診にて関節に痛みは認められず、神経学的異常も認められなかった。頚部、腰部、四肢のレントゲン検査にて異常は認められなかった。血液検査にて白血球の上昇(43500)、C反応性タンパク(CRP)の上昇(6.5)が認められた。関節部の腫脹がみられ、両側の手根関節と右側の膝関節より関節液検査を行なったところ、全ての関節液において関節液粘稠度の低下、非変性性好中球の顕著な増加が認められた。なお、関節液の細菌培養検査の結果は陰性であった。


以上から本症例は免疫介在性多発性関節炎と診断した。
症例は現在、 内科療法に良好に反応し、四肢の挙上や跛行も認められず良好な経過を送っている。
肩関節脱臼
肩関節(肩甲上腕関節)は、関節包、関節上腕靭帯、周囲の腱組織によって安定化されています。これらの軟部組織が欠損や破綻することにより脱臼が生じます。肩関節において、外傷性脱臼はすべての犬種において発生する可能性がありますが、トイプードルなどの小型犬種では、明らかな外傷歴がなくても内方脱臼を起こす傾向があります。脱臼の多くは内方(内側方向)であり(約70%)、残りの多くは外方(外側方向)に脱臼します。
治療法
脱臼が生じてから数日以内の早期対応の場合は非観血的整復が奏功することがあります。非観血的整復後に再脱臼を起こす場合、脱臼から長時間経過している場合は、外科的対応が必要になります。受傷後早期では、脱臼を整復し二頭筋腱の転位および腱固定を行います。肩甲上腕関節の関節窩や上腕骨頭が変形・破綻している場合、また慢性脱臼の状態では整復手術が困難であり、救済的に切除関節術や肩甲上腕関節の関節固定術を実施します。
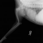
症例:トイプードル 9カ月齢
3ヵ月前より左前肢の跛行が認められるとのことで、来院されました。整形外科学的検査において、患肢の肘関節・肩関節重度の伸展制限が認められました。Xray検査において、左肩関節の内方脱臼、および肩甲骨関節窩の低形成と上腕骨頭の変形が認められました。

数か月に及ぶ慢性脱臼のため、関節面の低形成・摩耗のため整復手術による適切な再建は困難と判断し、切除関節形成術を実施しました。
術後3週間頃より、負重状態、歩行が改善しました。
切除関節形成術は、疼痛を引き起こす関節面を除去し、線維性偽関節の形成により患肢の機能改善を促す救済的手術です。術後のリハビリテーションの実施により、関節の可動域や患肢の筋肉量は改善され、生活の質は向上します。また本症例のように、慢性脱臼だけでなく、重度の骨関節炎症例にも実施することがあります。
化膿性関節炎
化膿性関節炎は細菌が血液を介し、あるいは直接関節内に侵入することによって生じます。多数の関節ではなく一つの関節に限定される場合が多く、通常は外科手術、咬傷、異物の侵入、外傷等が主な原因です。
臨床症状
発熱や抑うつ罹患関節の疼痛は極めて強く、特に触診する際には顕著である
診断
CRPの上昇
関節液:
塗抹上での細菌検出(確認されないこともある)
粘稠性は低下し、有核細胞数が著しく増加し、好中球が主体である(通常12%以上)
関節液中の好中球は中毒性変化や変性は明らかでないこともある
培養検査:
関節液、血液、尿の培養による菌の同定
しかし、関節液の培養検査で結果が陽性となる可能性は必ずしも高くない
治療
感染の原発巣が判明している場合は、取り除く。速やかに抗生剤を投与し、最低でも6週間継続する。治療で三日以内に劇的な改善が見られない場合には外科的治療を実施する。慢性感染、関節内異物の疑いのある症例、術後の感染症症例、成長板が閉鎖していない幼若動物での感染では、全ての症例で迅速な外科的デブリードメントと洗浄を実施する。関節軟骨の再生を促進する為のケ-ジ内安静をする。
予後
正常な機能が回復するかどうかは感染が制御された時にどれくらい関節軟骨が損傷を受けているかによって決まる。
症例:11歳2カ月 ビション・フリーゼ
1ヵ月前から左後肢跛行を呈し、消炎鎮痛剤の内服をするも改善が認められず他院から紹介来院。左膝関節に触診上激しい疼痛を呈し、レントゲン検査上では著変は認められず。左膝関節穿刺による関節液検査では、粘稠性が低下し、塗抹上で好中球、マクロファージ、小型リンパ球を主体とした有核細胞の有意な増加が認められた。また、関節液の培養検査、リウマチ因子及び抗核抗体検査、関節切開による滑膜の病理組織検査を実施したところ、全て陰性であり、前十字靭帯の部分断裂と大腿骨遠位端の骨潰瘍を確認した。
消炎鎮痛剤に加えて抗生剤を投与し、2週間目で跛行の改善傾向が認められた。
抗生剤の投与開始から7週目で跛行がほとんど認められず、経過は順調である。
汎骨炎は、若齢の大型犬、超大型犬に発生する疾患であり、明らかな原因はわかっていません。しかしながら、主にジャーマンシェパードを中心とした若齢の大型犬に好発することから遺伝的要因、その他にウイルス感染や自己免疫機構の関連などが考えられています。
臨床症状
突然の重度の跛行(歩行異常)や発熱が認められ、数日から数週間持続します。
診断
問診、身体検査、整形外科学的検査、レントゲン検査により診断します。
治療
疼痛緩和を目的とした、消炎鎮痛剤による内科療法を行います。
近位足根関節の脱臼は小型犬で多く認められ、主に踵第4関節に大きな不安定性が生じます。第4足根骨と踵骨の間の底測靭帯の損傷によって、骨を引き寄せるテンションバンド機能が失われるため、近位足根関節の過伸展が認められます。
診断
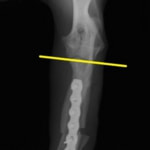
関節を伸展させて撮影することで不安定性の部位を特定します。
治療
踵第4関節の関節固定術を行います。特にテンションバンドワイヤー法はどんな大きさの動物にも適用可能で、比較的簡単な方法とされています。
症例:柴犬 3歳
左後肢の完全挙上を主訴に来院されました。触診にて近位足根関節の過伸展を、レントゲン検査にて左足根関節周囲の軟部組織の腫脹、ストレス撮影によって距骨・踵骨と第4足根骨・中心足根骨間の脱臼および過伸展を認めました。
術中において、浅趾屈筋腱を剥離、内方へ牽引し、直接踵骨から第4足根骨までピンを挿入し(あらかじめ細いピンで下穴をあけておくとよい)、テンションバンドワイヤー法を併用し、関節軟骨の掻爬と海綿骨移植を実施しました。
術後レントゲン画像上に癒合が認められるまで約2ヵ月間は、運動を制限する必要があります。
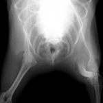
術前正面像左関節の腫れ
左足根関節の軟部組織が腫脹しています。
術前正面像
術前側面像屈曲位
術前側面像伸展位




























































